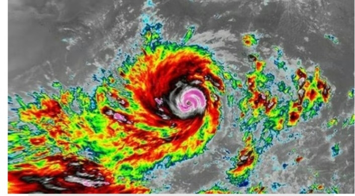
Berita1.id) Bibit Siklon Tropis 93S terdeteksi mulai aktif di Samudra Hindia selatan Nusa Tenggara, dan berpotensi berubah menjadi badai siklon tropis dalam beberapa waktu ke depan.
Hal tersebut diungkap pakar klimatologi dari Badan Riset dan Inovasi Nasional (BRIN) Erma Yulihastin. Ia bahkan menyebut bahwa badai hasil Bibit Siklon Tropis 93S ini berpotensi menjadi ‘next Senyar’ yang menerjang Aceh, Sumatra Utara dan Sumatra Barat.
“Waspadai badai Senyar berikutnya, yang diperkirakan akan mendarat di NTT pada periode 1-10 Januari 2026,” kata Erma dalam cuitannya di X, Kamis (11/12).
Erma mengatakan hal tersebut berasal dari prediksi resolusi tinggi submusiman hingga musiman dari KAMAJAYA-BRIN, alat sistem pendukung keputusan yang dirancang khusus untuk mitigasi cuaca ekstrem dalam enam bulan ke depan.
Dalam unggahannya, Erma turut menyertakan infografis yang menunjukkan bahwa bibit badai ini dapat tumbuh cepat menjadi siklon tropis yang dapat mendarat di wilayah timur dan berpotensi membawa hujan ekstrem, angin kencang, hingga gelombang tinggi.
Puncak risiko dari bibit badai ini diperkirakan terjadi pada 11 hingga 20 Desember 2025, dan bisa berlanjut hingga awal Januari 2026 atau bertepatan dengan libur Natal dan Tahun baru.
Saat dihubungi lebih lanjut, Erma mengatakan Bibit Siklon Tropis 93S ukurannya relatif lebih kecil dan berpotensi lebih rendah menjadi siklon dibanding Bibit Siklon Tropis 91S yang berada di perairan dekat Sumatra.
Namun, sistem ini tetap dapat memengaruhi kondisi cuaca lokal, terutama di wilayah Nusa Tenggara Timur dan sekitarnya.
“Badai tropis 93S inilah yang berpeluang mendarat di wilayah NTT (Timor Leste/Kupang/wilayah sekitarnya),” kata Erma saat dihubungi CNNIndonesia.com.
Menurut dia berdasarkan hasil model prakiraan cuaca musiman yang menunjukkan adanya pola konvergensi kuat di perairan sekitar Indonesia.
Berdasarkan analisis atmosfer pada dasarian II Desember 2025 hingga dasarian I Januari 2026, dua wilayah tercatat mengalami pembentukan pola pusaran yang signifikan.







