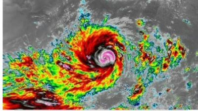
Berita1.id) Bibit Siklon Tropis 93S terdeteksi mulai aktif di Samudra Hindia selatan Nusa Tenggara, dan…
Uncategorized
Tidak Ada Postingan Lagi.
Tidak ada lagi halaman untuk dimuat.
Berita1.id) Bibit Siklon Tropis 93S terdeteksi mulai aktif di Samudra Hindia selatan Nusa Tenggara, dan…
Tidak Ada Postingan Lagi.
Tidak ada lagi halaman untuk dimuat.